Naturstyrelsen udbyder forpagtning af græsningsareal i Hårup Sande (græsningsskov)

Tilbudsfrist: Onsdag den 10. januar 2024 kl. 12:00

Forpagtningen udbydes af:

Naturstyrelsen: Søhøjlandet

Adresse: Vejlsøvej 12, 8600 Silkeborg

Telefonnummer: 72543951

Kontaktperson: Markus Mellerup

1. Beskrivelse af forpagtninger

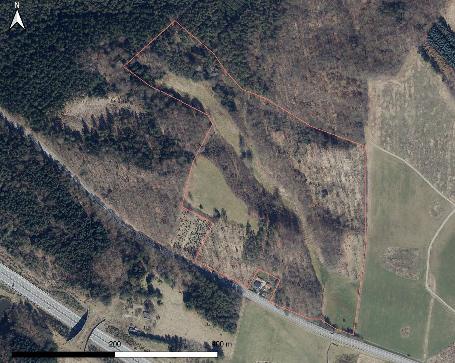
Navn på areal

Markbloknr. (matrikelnr.)

Ha

 

Tidsperiode

 

Hårup Sande græsningskov

538224-90, 538223-98, 539224-11, 538224-91, 539224-00

13,6

01.01.2024-31.12.2028

 

Driftsform:
Græsning med robuste kvæg/hesteracer med en kontinuer græsning henover sæsonen.

Særlige betingelser:
Ingen sprøjtning eller gødskning. Det er ikke tilladt at bruge ormemidler forbyggende. Dyr som skal behandles skal fjernes fra arealet først.

Kontraktens løbetid:
01.01.2024-31.12.2028
Kan forlænges én gang med 5 år.

 

2. Afgivelse af tilbud

Naturstyrelsen ønsker tilbud på forpagtning for ovenstående arealer på de vilkår, der er beskrevet i kontraktudkastet, jf. bilag 2. Hvis du ønsker at afgive et tilbud, skal det ske via tilbudsblanketten, jf. bilag 4.

Den pris, du angiver på tilbudsblanketten, skal både være prisen årligt pr. ha i DKK ekskl. moms og den samlede årlige pris ekskl. moms for det udbudte areal.

Du skal være opmærksom på, at prisen reguleres årligt med nettoprisindekset for januar måned i opkrævningsåret.

På tilbudsblanketten skal du klart og entydigt angive, hvilken fysisk eller juridisk person der er tilbudsgiver og dermed ansvarlig over for ordregiver.

Tilbudsblanketten med tilhørende bilag skal være skrevet på dansk.

 

Tilbudsblanketten skal sendes til

Naturstyrelsen Søhøjlandet, Vejlsøvej 12, 8600 Silkeborg.

Email: SHL@nst.dk.

 

Når du sender dit tilbud, skal du tydeligt markere det med ”Tilbud på forpagtning af græsningsarealer i Hårup Sande” og med ”Må ikke åbnes i postmodtagelsen”.

Naturstyrelsen gør opmærksom på, at dyrkningsbegrænsninger og andre særlige forhold i forpagtningskontrakten kan have betydning for dine muligheder for at opnå tilskud til arealerne. Såfremt du planlægger at søge tilskud, herunder grundbetaling, bærer du alene ansvaret for, at støttebetingelserne kan opfyldes. Du opfordres til at undersøge betingelserne for de relevante støtteordninger, og hvorvidt disse kan opfyldes på de forpagtede arealer med de anførte dyrkningsbegrænsninger, evt. med bistand fra din egen rådgiver.

 

3. Frist for afgivelse af tilbud

Du skal sende tilbudsblanketten, så den er modtaget i Naturstyrelsen på mailadresse: SHL@nst.dk eller pr. post på Naturstyrelsen Søhøjlandet, Vejlsøvej 12, 8600 Silkeborg senest d. 10/01/2024, kl. 12:00. Tilbud modtaget efter dette tidspunkt vil ikke blive taget i betragtning.

Når du har afgivet dit tilbud, er du forpligtet til at vedstå det i 30 kalenderdage fra tilbudsfristens udløb, dog kun indtil der er indgået kontrakt. Hvis Naturstyrelsen accepterer dit tilbud i vedståelsesperioden, er du derfor forpligtet til at skrive under på kontrakten. Efter du har underskrevet kontrakten, kan du kun træde ud af den i forhold til kontraktens bestemmelser om opsigelse.

De tilbud, der modtages rettidigt, vil blive åbnet umiddelbart efter tilbudsfristens udløb. Du har som tilbudsgiver ikke adgang til at overvære åbningen af tilbud.

 

4. Forbehold

Hvis du i dit tilbud har taget væsentlige forbehold for grundlæggende elementer i udbudsmaterialet, kan det medføre, at Naturstyrelsen ikke tager dit tilbud i betragtning. Grundlæggende elementer kan eksempelvis være forbehold vedr. pris, tidsfrister mm. Naturstyrelsen er dog berettiget til at afvise ethvert tilbud med forbehold uanset forbeholdets karakter.

Du skal underskrive tro- og loveerklæringen jf. bilag 5, og indsende den sammen med din tilbudsblanket.

Hvis du ikke skriver under på erklæringen, eller du er dømt for grovere overtrædelser af dyreværnsloven, og overtrædelsen efter et konkret skøn kan vurderes at have relevans for din varetagelse af den udbudte kontrakt, så kan Naturstyrelsen afvise dit tilbud. Det samme gælder, hvis Naturstyrelsen er vidende om, at du tidligere har misligholdt en forpagtnings- eller græsningskontrakt med Naturstyrelsen.

 

5. Vurdering af tilbud

Naturstyrelsen vælger at indgå en aftale med den, der giver det højeste tilbud.

 

6. Kontraktgrundlag

Der indgås aftale om forpagtningen/græsningen på baggrund af kontraktudkastet, jf. bilag 2.

 

7. Annullation

Naturstyrelsen forbeholder sig ret til at annullere det samlede udbud, eller udbuddet for de enkelte delarealer indtil udbudsforretningen er afsluttet med endelig indgåelse af kontrakt, såfremt der foreligger en ikke-usaglig begrundelse herfor.

 

8. Tidsplan

19.12.2023

Offentliggørelse af udbudsmateriale

10.01.2024 kl. 12:00

Frist for modtagelse af tilbud

Uge 3

Forventet ordretildeling.

Uge 4

Forventet kontraktindgåelse.

01.01.2024

Kontrakten træder i kraft

 

 

9. Spørgsmål og rettelser

Hvis du har spørgsmål eller forslag til rettelser til udbudsmaterialet, kan du kontakte ordregiver som anført øverst i annoncen.

 

10. Bilagsliste

Bilag 1: Kortmateriale

Bilag 2: Kontraktudkast

Bilag 3: Naturmål

Bilag 4: Tilbudsblanket

Bilag 5: Tro – og love erklæring